Melissa uccide anche in Giamaica: tre le vittime dell'uragano
di Redazione
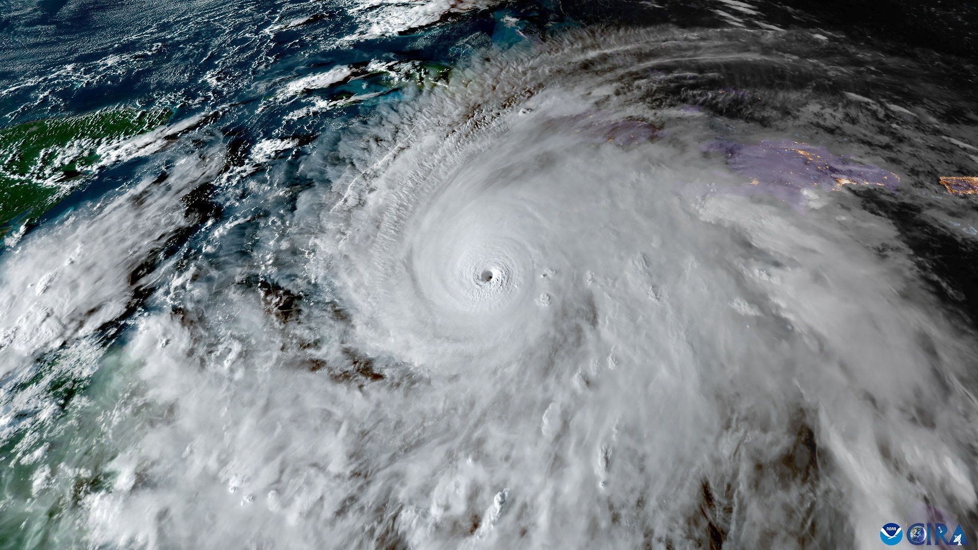
Dopo aver provocato dalla è vittime a Cuba, Santo Domingo e Haiti l'intensità del vento non accenna a calare

L'impatto devastante dell'uragano si è fatto sentire in Giamaica. Ieri sera, il ministero della Salute dell'isola ha riferito che si sono verificati tre decessi correlati all'uragano Melissa. "Invitiamo il pubblico a prestare la massima attenzione: attività come arrampicarsi sui tetti, fissare sacchi di sabbia o tagliare alberi possono sembrare gestibili, ma anche piccoli errori durante un uragano possono provocare lesioni gravi o la morte", ha scritto su X il ministero. "Anche guidare su strade allagate o in aree con detriti è estremamente pericoloso. Gli ambulatori rimangono chiusi, ma gli ospedali sono aperti e prestano assistenza alle persone ferite dalla tempesta.
La tempesta di categoria 5, che potrebbe essere la più violenta mai registrata sull'isola, sta seguendo un percorso estremamente lento attraverso i Caraibi e ha già causato tre vittime in Giamaica, tre ad Haiti e una nella Repubblica Dominicana. Il ministro del governo locale Desmond McKenzie ha dichiarato lunedì sera che degli 880 rifugi disponibili sull'isola, solo 133 ospitavano la popolazione locale. "Dovrebbero accogliere le persone adesso", ha detto McKenzie, aggiungendo: "Esorto gli abitanti di queste parrocchie a raggiungere le zone più' elevate il più rapidamente possibile". Il primo ministro giamaicano Andrew Holness ha affermato che la parte occidentale dell'isola ha subito i danni più gravi. "Non credo che in questa regione esistano infrastrutture in grado di resistere a un uragano di categoria 5, quindi potrebbero verificarsi gravi disagi", ha dichiarato alla Cnn.
Ma nonostante gli appelli all'evacuazione, molti residenti giamaicani hanno deciso di rimanere. Parte della forza di Melissa deriva dalla sua lentezza: si muove più lentamente di quanto cammini la maggior parte delle persone, a soli cinque chilometri all'ora o meno. Ciò significa che le aree sul suo percorso potrebbero subire condizioni estreme per un periodo molto più lungo rispetto alla maggior parte degli uragani. Il Nhc ha avvertito di inondazioni improvvise "catastrofiche", frane e venti distruttivi che potrebbero causare lunghe interruzioni di corrente e delle comunicazioni, oltre a "gravi danni alle infrastrutture". Sono previste precipitazioni fino a 40 pollici (un metro), con inondazioni improvvise e frane in Giamaica, Haiti, Repubblica Dominicana e Cuba. E' probabile che si verifichi un'onda di tempesta lungo la costa meridionale della Giamaica, con un potenziale innalzamento delle acque di 4 metri.

© RIPRODUZIONE RISERVATA






